Tiêu điểm

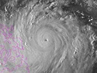
Biển Đông sắp đón bão mạnh

Một cơn bão cường độ rất mạnh ở ngoài khơi Philippines có khả năng vào Biển Đông khoảng giữa tuần này, theo Trung tâm Dự báo Khí tượng Thủy văn Trung ương.

  • 6 năm trước
  • Tiêu điểm
  • 0

8 tỉnh có mô hình tôm – lúa lớn nhất

Đồng bằng sông Cửu Long có nhiều tiềm năng, lợi thế phát triển canh tác tôm – lúa. Hiện, diện tích mô hình này khoảng 160.000 ha, dự kiến năm 2015 đạt 180.000 ha. Đến năm 2020, nếu diện tích tôm – lúa đạt 200.000 ha, chúng ta sẽ có thêm khoảng 800.000 tấn lúa.

  • 6 năm trước
  • Tiêu điểm
  • 0

Lối thoát nào cho ngành cá tra?

“Thị trường cá tra nói riêng và thủy sản nói chung hiện nay xấu quá, nông dân không còn thiết tha đến việc nuôi cá tra. Doanh nghiệp lại thua lỗ, đóng cửa nhà máy”. Đó là chia sẻ của ông Lê Chí Bình (ảnh), Phó Chủ tịch Hiệp hội Nghề nuôi cá và Chế biến thủy sản An Giang với Thủy sản Việt Nam.

  • 6 năm trước
  • Tiêu điểm
  • 0

Kinh hãi công nghệ nhuộm màu cho… tôm khô

Nhìn loạt ảnh này, ít ai có thể hình dung đây là những công đoạn chế biến để có những con tôm khô có màu vàng đỏ, óng đẹp bắt mắt, thịt chắc, “vị ngọt tự nhiên”… thường được xem như quà đặc sản.

  • 6 năm trước
  • Tiêu điểm
  • 0

Thủ tục đăng ký sản xuất gia công thuốc thú y (Bao gồm cả thuốc thú y thủy sản) – (tiếp theo và hết)

Theo Thông tư số 08/2012/TT-BNNPTNT ngày 13 tháng 2 năm 2012 về Quy định thủ tục đăng ký sản xuất gia công thuốc thú y (bao gồm cả thuốc thú y thủy sản) cụ thể tại điều 6, điều 7 thuộc Chương II như sau:

  • 6 năm trước
  • Tiêu điểm
  • 0

Khi tôm “đòi” sự công bằng…

Thời tiết khắc nghiệt, tôm chết chưa có dấu hiệu dừng và chưa xác định được nguyên nhân, vốn cạn kiệt sau nhiều vụ thất bát… đã khiến người nuôi và doanh nghiệp kiệt sức. Hơn lúc nào hết, họ đang cần được đồng cảm và tiếp sức.

  • 6 năm trước
  • Tiêu điểm
  • 0

DN thủy sản muốn gia hạn vay ngoại tệ đến hết năm 2013

“Do chênh lệch giữa lãi suất vay tiền đồng và ngoại tệ khá lớn nên chúng tôi tiếp tục kiến nghị với Ngân hàng Nhà nước cho gia hạn thời gian được vay ngoại tệ đến cuối năm 2013”, ông Trần Thiện Hải, Chủ tịch Hiệp hội chế biến và xuất khẩu thủy sản Việt Nam (Vasep) cho hay.

  • 6 năm trước
  • Tiêu điểm
  • 0

Diễn đàn “Phát triển nuôi thủy sản nước ngọt bền vững các tỉnh miền núi phía Bắc”

Ngày 22/11, tại Bắc Giang, Tổng cục Thủy sản, Trung tâm Khuyến nông Quốc gia, phối hợp với Sở NN&PTNT Bắc Giang tổ chức diễn đàn “Phát triển nuôi thủy sản nước ngọt bền vững các tỉnh miền núi phía Bắc”. Phó Tổng cục trưởng Tổng cục Thủy sản Nguyễn Huy Điền và Tổng thư ký Hội Nghề cá Việt Nam đến tham dự.

  • 6 năm trước
  • Tiêu điểm
  • 0

Nghiên cứu tác nhân gây nấm bệnh trên cá nước lạnh

Sở Khoa học và Công nghệ tỉnh Lâm Đồng cho biết, trong những năm gần đây cá hồi và cá tầm (gọi chung là cá nước lạnh) đã trở thành đối tượng nuôi quan trọng của địa phương.

  • 6 năm trước
  • Tiêu điểm
  • 0

Ngành cá tra Việt Nam được công nhận nuôi trồng có trách nhiệm

Tính đến hết năm 2012, ngành cá tra Việt Nam sẽ đạt được mục tiêu đặt ra cho năm là đạt 10% sản lượng đạt chứng chỉ của Hội đồng Nuôi trồng Thủy sản Bền vững (ASC).

  • 6 năm trước
  • Tiêu điểm
  • 0
error: Content is protected !!